Through a statewide safety study contract, LJB was asked to provide safety improvement recommendations for many high-accident locations throughout the state. For each study, LJB identified the factors that contribute to the safety problems at the given location or corridor and selected the most effective countermeasures to improve safety.
LJB strives to provide innovative solutions to high crash locations and safety concerns. The identification of effective solutions for a documented safety problem requires a comprehensive understanding of many facets of planning, design and construction.
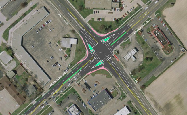
Concepts used as part of a formal road safety audit are utilized in addition to a detailed accident analysis. The field review of the site is critical to help identify features or conditions that may be a contributing factor to crashes. Typically these conditions comply with minimal design standards, but may be inadequate due to complex decision processes or above average speeds. LJB conducted site visits, created existing conditions diagrams, completed capacity analysis, evaluated crash data cleanup and diagrams and collected traffic volume. This information was reviewed to determine the feasibility of countermeasures in terms of short-, medium- and long-term solutions based on environmental, right-of-way and budget constraints.





